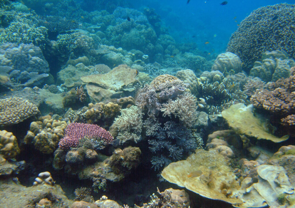
At a natural underwater laboratory off the coast of Papua New Guinea, researchers examined what happens to a diverse reef ecosystem as it experiences gradually increasing levels of ocean acidification. They found that as the pH decreased, complex branching corals, soft corals, and young corals died off. In their place grew hardy boulder corals and non-calcium-based algae.
One thing the team didn’t find: a specific tipping point at which corals began to die off.
“That was something we really hoped to be able to detect from the data,” said Sam Noonan, a coral reef ecologist at the Australian Institute of Marine Science (AIMS) in Townsville and lead researcher on a new study reporting the work. “Do you have this increase in acidification and everything seems fine, and then species start falling off a cliff? But that was not the case at all. With every little increase, we saw a smooth decline.”
These observations, which took place near a volcanic seep that leaks carbon dioxide (CO2) into the ocean from the seafloor, provide a preview of how reefs around the world could respond as the ocean absorbs increasing quantities of atmospheric CO2.

A Natural Coral Laboratory
The ocean is the world’s largest carbon sink. As atmospheric CO2 concentrations continue to rise, the ocean absorbs more and more of that carbon, which makes seawater more acidic. Oceanographers and marine ecologists have observed for decades that falling marine pH levels disturb delicate marine ecosystems, like coral reefs, around the world.
Coral reef scientists have observed in laboratory settings that acidic seawater makes it harder for corals to build the carbon-based limestone skeletons that support complex branching corals.
“Even the most advanced of these experiments, however, cannot fully capture the incredible complexity of a real-world coral reef, where biodiverse flora and fauna are interacting in an ever changing array of environmental conditions,” said Ian Enochs, a coral ecologist at NOAA’s Atlantic Oceanographic and Meteorological Laboratory in Miami.
To overcome those limitations, Noonan and his AIMS colleagues traveled to Milne Bay on the southeastern coast of Papua New Guinea, which is home to a diverse and thriving coral reef ecosystem. It’s also home to a volcanic seep that releases nearly pure CO2 gas from vents in the seafloor.
A reef like this one is “a natural laboratory that allows us to understand how real coral reefs respond to acidification.”
A reef like this one is “a natural laboratory that allows us to understand how real coral reefs respond to acidification,” Enochs said. Enochs was not involved with the new research.
The scientists spent more than a decade measuring the ambient properties of the seawater throughout the reef and documenting, via a proxy called aragonite saturation, how acidity changes on the basis of proximity to a seep. Aragonite saturation levels across the seep match values predicted to occur by 2100 under a wide range of carbon emission scenarios.
The team set up 37 monitoring stations at locations along the reef that experience gradually rising levels of CO2. Those stations measured seawater properties like temperature, light exposure, current, and, of course, acidity. Divers documented coral diversity, the abundance of juvenile corals, and the types of algae that grew around each of the stations.
In laboratory experiments, “you have a control reef, and then you have an acidified reef, and it’s just A versus B,” Noonan said. “In this study, we have 37 stations across this gradient to look at community change on a continuum. There’s no data out there like that.”

At stations more than 500 meters (1,640 feet) from the volcanic seep, the reef hosted a diverse array of complex branching corals, soft-bodied corals, and juvenile corals. Closer to the seep, stations recorded progressively lower pH levels and the complex and delicate corals died off. The only surviving corals were hardier boulder corals (genus Porites), which have thick layers of tissue between the water and their skeletons. There were also fewer juvenile corals and more non-carbon-based algae as acidity rose.
“You can visually see it when you’re swimming around these systems,” Noonan said, and the data back up those observations. “It seems that some species are more susceptible than others. Those with a really high surface area and a thin tissue layer seem to be really affected.”
“Those species that are most affected seem to be the most ecologically important.”
“The problem is those species that are most affected seem to be the most ecologically important,” he added. “They’re the ones that provide shelter for the literally millions of species that live on coral reefs. All the fish and little crustaceans, they all rely on these things for habitat, and they’re the ones that are really starting to drop out first.”
These results were published in Communications Biology in November 2025.
An Ongoing Problem
“This paper is important because it offers another glimpse into the future of reefs under acidification, one that is entirely independent from prior experiments and other investigations of similar sites,” Enochs explained. “What the authors found, however, is remarkably similar to what we’ve observed in our experimental tanks, and at other naturally acidified sites from all over the world.”
“It’s the similarity of these stories that gives these findings the greatest power, parallel lines of evidence all pointing to the same thing.”
“It’s the similarity of these stories that gives these findings the greatest power, parallel lines of evidence all pointing to the same thing,” Enochs added.
Millions of people depend on reef ecosystems to support fisheries, feed coastal communities, protect coastal infrastructure from waves and storm surge, and sustain tourism and local economies. What’s more, “lower coral cover means less shelter for the exceptional biodiversity of a reef, and a loss of species, many of which are still unknown to science,” Enochs said. “When I read this paper and I see how acidification impacts these reefs, I think about what it could mean for other reef ecosystems and the communities they support.”
Noonan said that this volcanic seep is a simple proxy for ocean conditions under a future climate scenario, but it’s not a perfect one. Sunlight and temperature were pretty constant across the reef, which was good for isolating the effects of CO2 but not realistic for most reef ecosystems.
Future work could consider those additional variables to see whether there is a true acidification tipping point for corals. But Noonan also brought up a more concerning possibility.
“This has been ongoing since the Industrial Revolution, so perhaps there were tipping points and we’re already past them.”
“This has been ongoing since the Industrial Revolution, so perhaps there were tipping points and we’re already past them,” he suggested. There’s no way to know, as scientists lack data on past ocean acidification.
Regardless, “these changes are ongoing and occurring now,” he added. “We’re starting to detect significant, statistical changes in these communities at [acidification] values that we’re expecting within the next 20 to 30 years on coral reefs. It’s not end of the century stuff.”
—Kimberly M. S. Cartier (@astrokimcartier.bsky.social), Staff Writer
